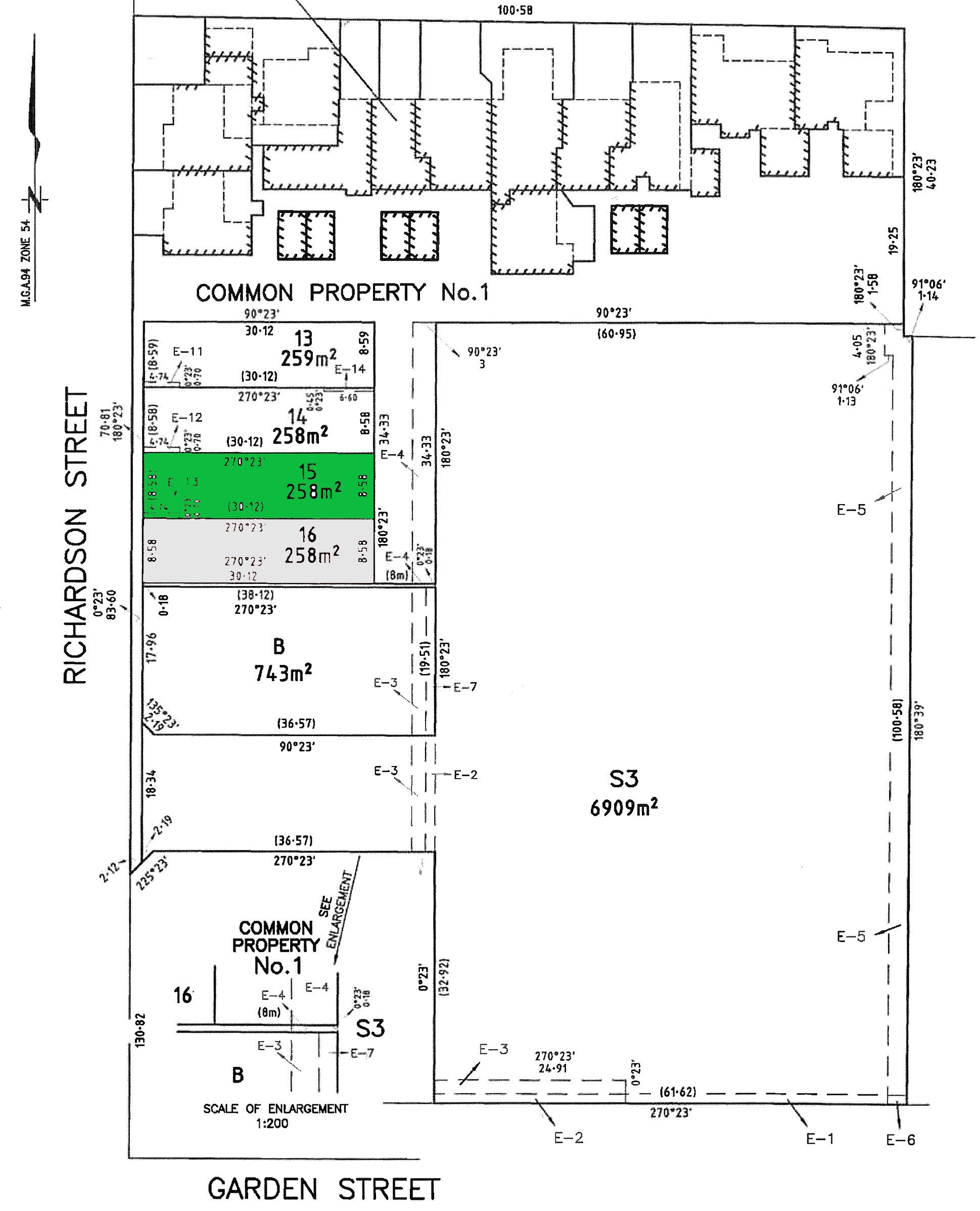
Lot 15 Richardson Street, Portland VIC
Lot 15, (26) Richardson Street, Portland
Located in a quiet area of North Portland is this neat little approx. 258 m2 block with all services. And you even have town bus services right at your door.
An ideal property to build a townhouse or unit. (STCA)
Lot 16, (24) Richardson Street right next door is also available to purchase.
Mortgage Calculator
$3,078
Estimated monthly repayments based on advertised price of $67500.
Property Price
Deposit
Loan Amount
Interest Rate (p.a)
Loan Terms
